Działka na sprzedaż Pszczyna (gw), Wisła Wielka

690.00 m²
231,88 zł/m2
DMN-GS-367
Oblicz ratę kredytu

160 000 zł

Działka na sprzedaż
Oferta na wyłączność

Szczegóły oferty

Symbol oferty DMN-GS-367
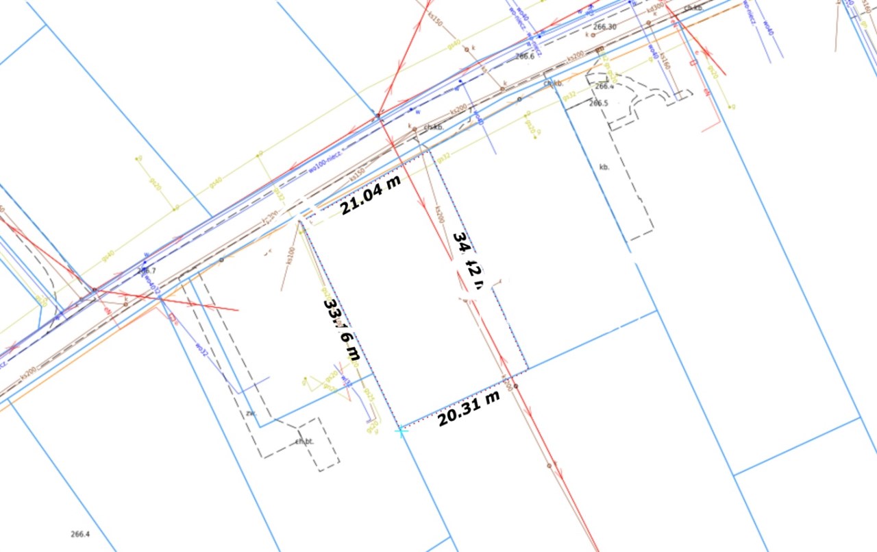
Powierzchnia 690,00 m²
Przeznaczenie działki budowlana
Standard
Wymiary działki 21x33 m
Zagosp. działki niezagospodarowana
Ukształtowanie działki płaska
Kształt działki prostokąt
Ogrodzenie działki brak
Gaz jest
Woda jest
Dojazd asfalt
Otoczenie działki zabudowane
Położenie poza miastem
Prąd tak
Kanalizacja tak
ANNA FARUGA

ANNA FARUGA

Pośrednik
Nr licencji: 24017

Napisz wiadomość 61 Ofert

Opis nieruchomości

Na sprzedaż działka położona w Wiśle - Wielkiej przy ul. Pogodnej o powierzchni 690 mkw. Idealna opcja dla osób poszukujących niedużej działki w spokojnej, zielonej okolicy z jednoczesnym dogodnym dojazdem do sąsiednich miejscowości. 


OPIS DZIAŁKI:

  • Numer ewidencyjny: 998/28
  • Powierzchnia: 690 mkw
  • Wymiary: ok. 24 x 33
  • Dojazd: bezpośrednio przy ulicy Pogodnej, droga asfaltowa
  • Media w pobliżu: woda, prąd, gaz, kanalizacja 
  • Przeznaczenie w MPZP: 6MN1 - teren zabudowy mieszkaniowej jednorodzinnej; 2KDD - teren komunikacji - drogi publiczne 

OKOLICA:
 Spokojna, zielona okolica, wokół zabudowa jednorodzinna. Dogodny dojazd drogą asfaltową do ul. Cieszyńskiej. 


Zapraszam do kontaktu w celu umówienia terminu prezentacji:

Anna Faruga
tel. 604-807-100

e-mail: anna.faruga@domos-nieruchomosci.pl
www.domos-nieruchomosci.pl


> Jeśli zakup działki uzależniony jest od sprzedaży innej nieruchomości - zapraszamy do współpracy, pomożemy Państwu w zabezpieczeniu obu transakcji.

Naszym klientom zapewniamy bezpłatną pomoc w uzyskaniu kredytu na zakup nieruchomości oraz kompleksową obsługę w procesie sprzedaży. 

Opis oferty zawarty na stronie internetowej sporządzany jest na podstawie oględzin nieruchomości oraz informacji uzyskanych od właściciela, może podlegać aktualizacji i nie stanowi oferty określonej w art. 66 i następnych K.C.


 

Kalkulatory

Kalkulator kredytowy

Wysokość raty

PLN
%

Kalkulator kosztów

Podatek od czynności cywilno-prawnych

Taksa notarialna
(opłata notarialna)

Wniosek o wpis do WKW

VAT od prowizji
agencji nieruchomości

Vat od taksy notarialnej
(opłaty notarialnej)

Prowizja agencji nieruchomości

Wypisy aktu notarialnego

Razem

Uwaga: mogą wystąpić dodatkowe opłaty za założenie księgi wieczystej oraz ustanowienie hipoteki.

PLN
PLN
PLN
PLN
PLN
PLN
%
PLN

Pośrednik

Proszę wprowadzić poprawne imię i nazwisko
Proszę wprowadzić poprawny numer telefonu
Proszę wprowadzić poprawny adres e-mail
Proszę zaznaczyć wymagane zgody
Rozwiąż równanie:
19 3
Niepoprawny wynik